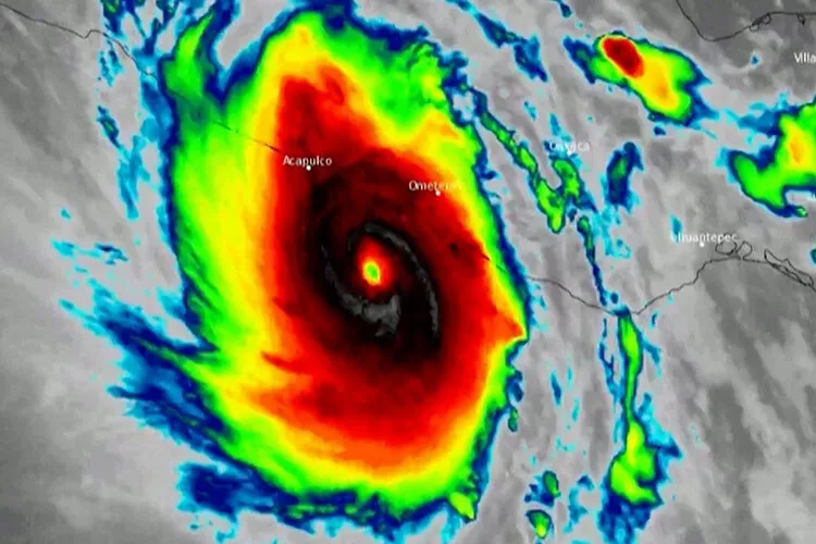
El huracán Otis dejó destrozos, inundaciones y desprendimientos de tierra en la zona hotelera de Acapulco, en México, el pasado miércoles 25 de octubre, mientras seguía avanzando costa adentro con fuertes lluvias y potentes vientos.
Pero, ¿qué está pasando con los huracanes? Antonio Ruiz de Elvira Serra, Catedrático de Física Aplicada en la Universidad de Alcalá hizo una reflexión sobre la fuerza con la que Ian llegó a Estados Unidos en 2022 y cómo el cambio climático afecta a los huracanes.
Así arrastra al mar tierra adentro la increíble fuerza de los huracanes
Después de arrasar Cuba y Florida, el huracán Ian se dirige hacia Carolina del Sur y del Norte. Además de los fuertes vientos y las precipitaciones, las tormentas tropicales provocan en la costa otro fenómeno con gran potencial de destrucción: las marejadas ciclónicas.
Las tormentas en general, y más particularmente los huracanes, generan vientos tanto más fuertes cuanta mayor sea la diferencia de presiones entre su interior y el exterior.
Para entenderlo mejor, podemos poner un ejemplo: cuando soplamos con fuerza por un tubo aumentamos la presión del aire en ese extremo, por eso el líquido sale disparado si lo hacemos en un popote y −por eso− funcionan las cerbatanas.
Una tormenta ciclónica es una zona de bajas presiones. La fuerza aparente de Coriolis (la rotación de la Tierra sobre su eje) fuerza al aire a girar alrededor del centro de la tormenta. En el hemisferio norte, lo hace en el sentido contrario a las agujas de un reloj, porque el aire se dirige de la zona de altas presiones hacia las de bajas.
Cuando la tormenta se sitúa sobre el mar, los vientos actúan sobre la superficie del agua arrastrándola un poco hacia la dirección contraria a la que soplan. Ese arrastre va acumulando agua según avanza la tormenta.
Cuando el huracán toca tierra, el agua acumulada impacta sobre la costa. Si esta tiene un talud continental suave, es decir, si la playa continúa dentro del agua sin caída brusca, la colina de agua arrastrada por la tormenta convertida en huracán o ciclón penetra muchos metros en la costa. Si por el contrario el talud continental cae bruscamente, el agua choca y vuelve hacia atrás. El caso extremo es el de un acantilado que impide que el agua entre en la tierra.

Destrucción en la costa
En los Estados Unidos, las costas del Golfo de México, de Georgia y las Carolinas son muy someras, y los huracanes producen marejadas ciclónicas muy extensas que producen grandes daños. Si estas marejadas ocurren con la marea alta los efectos se amplifican. El huracán Katrina, que impactó en 2005 en los alrededores de Nueva Orleans, causó unos 1,500 muertos y alrededor de 75,000 millones de dólares de pérdidas debidas, esencialmente, a la marejada. El nivel del mar durante Katrina subió unos 8.5 metros, como un edificio de tres plantas.
En Carolina del Sur, cuyo talud continental es suave, Ian puede producir marejadas ciclónicas intensas.
Muchas veces estas marejadas se combinan con olas grandes. Las olas se producen por las oscilaciones de presión del aire al pasar sobre una superficie inicialmente ondulada gracias a alguna pequeña fluctuación que se amplifica mientras dure el viento. Las olas más altas registradas en el mar abierto, sin obstáculos en el fondo alcanzan los 20 metros, y se repiten al ser un fenómeno periódico.
Los huracanes combinan lluvias intensas, oleaje alto y marejadas ciclónicas. Para la vida en las costas de las zonas propensas a ellos son inmensamente destructivos. Estas áreas se concentran en las regiones de aguas cálidas cerca de las líneas de los trópicos.
Cómo se forman los huracanes y ciclones
A finales del verano y durante el otoño del hemisferio norte las aguas tropicales se mantienen muy calientes.
Las tormentas que se originan en el Atlántico y Pacífico ecuatorial se desplazan hacia el norte colapsando unas sobre otras y amplificándose.
Al tener agua caliente en la superficie del mar, se produce convección, y −al subir el agua en la atmósfera en forma de vapor− este se enfría y condensa y genera una enorme cantidad de calor que mantiene la tormenta, que poco a poco va creciendo hasta formarse un huracán (así se denominan en América) o ciclón tropical (en Asia).
Se precisan aguas muy calientes en la superficie por debajo de las tormentas tropicales. Por eso se forman predominantemente en el Caribe y en el mar de la China, afectando a las islas caribeñas, Mesoamérica, México y Estados Unidos como huracanes, y a Filipinas, las costas de China y Taiwán y Japón como ciclones.
Los huracanes podrían empezar a afectar a las islas Canarias, pero es difícil que impacten como huracanes en las costas continentales europeas porque el mar está frío. Dentro del Mediterráneo, con aguas tan calientes como en el Caribe, falta espacio para la amplificación necesaria. Habrá, en este mar, tormentas cada vez más intensas, pero no llegarán a la categoría de huracán.
El cambio climático no afecta, de momento, el número de huracanes y ciclones que ocurren anualmente, pero sí a su intensidad, que está creciendo con el aumento de la temperatura del agua.
También afecta al nivel medio del mar. Una subida de tan solo 10 centímetros supone una entrada del agua de las olas y las marejadas de al menos un kilómetro costa adentro si esta es llana, como por ejemplo en el golfo de Cádiz o en la Plana de Valencia, y daños considerables sobre los cimientos de las viviendas e infraestructuras costeras.
Aumentar la destrucción que provocan las tormentas tropicales es uno más de los daños que nos estamos infligiendo a nosotros mismos con el calentamiento del planeta. (The Conversation / Reuters)












